横浜市都筑区折本町4期 新築戸建 全1棟 神奈川県横浜市都筑区折本町 |5,780万円の新築一戸建て|エムイーPLUS多摩
| 価格 | 5,780万円 ![]() |
||||
|---|---|---|---|---|---|
| 所在地 | 神奈川県横浜市都筑区折本町
この地域周辺の物件を見る |
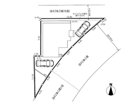
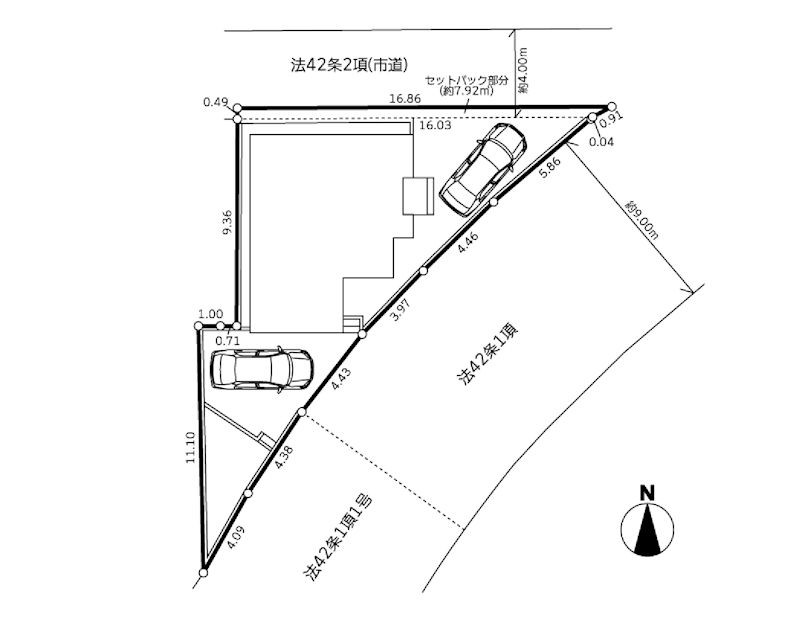
土地面積 | 148.82m² (45.01坪) | 建物面積 | 100.71u |
| 築年月 | 2026年9月築 | 間取り | 4LDK (-) | ||
| 交通 |
- - -
|
||||
| 特徴 |
|
|---|---|
| セールスコメント | 都市計画:市街化調整区域(建築許可:開発許可等による分譲地内) |
| 採光面 | - | 構造/階数 | 木造/地上2階建 |
|---|---|---|---|
| 建ぺい率 | 50(%) | 容積率 | 80(%) |
| 駐車場 | 有 | 現況/引渡し | -/2026年9月下旬 |
| 土地権利 | 所有権 | 私道負担面積 | - |
| 接道状況 | 接道: 北 公道 道路幅: 4m 接道: 東南 公道 道路幅: 9m |
用途地域 |
指定なし
|
| セットバック | あり | 法令上の制限 | 法22条区域 宅地造成および特定盛土等規制法 都計法43条通知書番号:横浜市建調整指令第2025都42号(令和7年10月28日) |
| 地目 | 宅地 | 地勢 | |
| 建築確認番号 | 第25UDI1K建01831号 | 都市計画 | 市街化調整区域 |
| 取引態様 | 仲介 | ||
| 情報更新日 | 2026年01月13日 | 次回更新日 | 2026年01月27日 |
| 小学校区 | 横浜市立折本小学校 (神奈川県横浜市) この学区の他の物件を見る |
中学校区 | 都田中学校 (神奈川県横浜市) この学区の他の物件を見る |
|---|
| 価格 | 万円 | ||
|---|---|---|---|
| 年利率 | % |
||
| ボーナス払い | 返済年数 | ||
| 頭金 | 直接入力する | 万円 | |

毎月のご返済額 |
ボーナス(×年2回) |
物件価格5,780万円 |
-